Cierran hoy mercado binacional en Pedernales
El mercado binacional, entre haitianos y dominicanos, que desarrollan comerciantes, así como compradores a ambos lados de la isla por ...
El mercado binacional, entre haitianos y dominicanos, que desarrollan comerciantes, así como compradores a ambos lados de la isla por ...
El Ministerio Público de Pedernales logró que el Tribunal Colegiado de aquí, emitiera una pena de 10 años de prisión ...
El Tribunal Colegiado de la provincia Pedernales, acogió una petición de la Fiscalía de aquí, condenó a 20 años a ...
El calor, la falta de agua potable y los apagones son las tres preocupaciones que actualmente registra la población del ...
El diputado Miguel Manuel Florián Terrero (Miguelo), llamó nuevamente a al Ministerio de Obras Públicas y Comunicaciones (Mopc), a agilizar ...
El Consejo Unificado de las Empresas Distribuidoras de Electricidad (CUED) comunicó que las interrupciones en el servicio eléctrico en Pedernales ...
La Empresa Generadora de Electricidad Haina (EGE Haina), informó que causas técnicas produjeron la salida en su central en Pedernales, ...
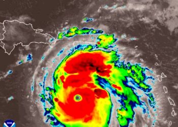
En la medida en que se aproxima el poderoso y peligroso huracán Berly, con consecuencias lamentables en países de la ...
Benny Rodríguez Esta provincia Barahona y las comunidades que la conforman las primeras horas de la mañana de este martes ...
El poderoso Beryl sigue siendo un poderoso huracán peligroso en ruta hacia el Caribe y, sobre todo, en dirección a ...
¿Está usted de acuerdo con el aumento de sueldo del Alcalde y los Regidores de Santa Cruz de Barahona?
Votantes totales: 131
© 2014 - 2021 La Lupa del Sur. Todos los derechos reservados. Desarrollado por [HPMedia+].
© 2014 - 2021 La Lupa del Sur. Todos los derechos reservados. Desarrollado por [HPMedia+].